| Título | Código | Data | Descrição | |
|---|---|---|---|---|
| Acervo de negativos do fotógrafo Antônio Albuquerque (cont.1) - cg0080_008 |
|
cg0080_008 | 1981 | O professor Afonso dos Santos na máquina de microfilme analisa documentos da pesquisa institucional do Departamento de História da PUC-Rio intitulada "Forças de segurança e ordem no Rio de Janeiro - 1822 a 1915", financiada pela Financiadora de Estudos e Projetos (FINEP). |
| Acervo de negativos do fotógrafo Antônio Albuquerque (cont.1) - cg0080_018 |
|
cg0080_018 | 1950 | Alunos do Instituto Politécnico em sala de aula com balanças de precisão. |
| Acervo de negativos do fotógrafo Antônio Albuquerque (cont.1) - cg0080_027 |
|
cg0080_027 | 15/5/1979 | Reunião com o Reitor por ocasião da greve dos professores. |
| Acervo de negativos do fotógrafo Antônio Albuquerque (cont.1) - cg0080_036 |
|
cg0080_036 | 1970 | Exposição de livros doados à Biblioteca Central da PUC-Rio. |
| Acervo de negativos do fotógrafo Antônio Albuquerque (cont.1) - cg0080_044 |
|
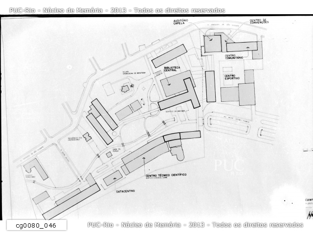
cg0080_044 | 9/10/1980 | Planta baixa com projeto de novas construções no Campus da PUC-Rio. Biblioteca Central. |
| Acervo de negativos do fotógrafo Antônio Albuquerque (cont.1) - cg0080_053 |
|
cg0080_053 | 1975 | Gráfica da PUC-Rio, inicialmente instalada no sub-solo da Ala Kennedy. |
| Acervo de negativos do fotógrafo Antônio Albuquerque (cont.1) - cg0080_062 |
|
cg0080_062 | 2/4/1980 | Missa celebrada por vários padres da PUC-Rio em homenagem à Dom Oscar Romero (arcebispo de San Salvador assassinado), ao padre jesuíta Luis Espinal (assassinado na Bolívia) e ao sub-diácono Júlio César (agente de pastoral da Diocese de Valença/RJ, vítima de espancamento). |
| Acervo de negativos do fotógrafo Antônio Albuquerque (cont.1) - cg0080_070 |
|
cg0080_070 | 1972 | Almoço de Natal de funcionários com as mesas montadas no salão principal da Biblioteca Central. |
| Acervo de negativos do fotógrafo Antônio Albuquerque (cont.1) - cg0080_084 |
|
cg0080_084 | 1978 | Laboratório do Departamento de Ciências dos Materiais e Metalúrgica (DCMM). |
| Acervo de negativos do fotógrafo Antônio Albuquerque (cont.1) - cg0080_092 |
|
cg0080_092 | 3/1980 | Palestra com os professores e a direção da PUC-Rio sobre a crise financeira. |
| Acervo de negativos do fotógrafo Antônio Albuquerque (cont.1) - cg0080_001 |
|
cg0080_001 | 1981 | Grupo de pesquisa institucional do Departamento de História da PUC-Rio intitulado "Forças de segurança e ordem no Rio de Janeiro - 1822 a 1915", financiado pela Financiadora de Estudos e Projetos (FINEP). |
| Acervo de negativos do fotógrafo Antônio Albuquerque (cont.1) - cg0080_009 |
|
cg0080_009 | 1981 | Arquivo com as fichas da pesquisa institucional do Departamento de História da PUC-Rio intitulada "Forças de segurança e ordem no Rio de Janeiro - 1822 a 1915", financiada pela Financiadora de Estudos e Projetos (FINEP). |
| Acervo de negativos do fotógrafo Antônio Albuquerque (cont.1) - cg0080_019 |
|
cg0080_019 | 10/12/1945 | Formatura da primeira turma de bacharéis da Faculdade de Direito, no auditório da ABI. |
| Acervo de negativos do fotógrafo Antônio Albuquerque (cont.1) - cg0080_028 |
|
cg0080_028 | 15/5/1979 | Reunião com o Reitor sobre a Greve dos professores. O Vice-reitor Elias Kallás, em pé, se dirige à plateia. |
| Acervo de negativos do fotógrafo Antônio Albuquerque (cont.1) - cg0080_037 |
|
cg0080_037 | 1982 | Palestra de Luis Carlos Prestes para duas turmas de História e Cinema, na sala K506. |
| Acervo de negativos do fotógrafo Antônio Albuquerque (cont.1) - cg0080_045 |
|
cg0080_045 | 9/10/1980 | Planta baixa com projeto de novas construções no Campus da PUC-Rio. Centro Comunitário. |
| Acervo de negativos do fotógrafo Antônio Albuquerque (cont.1) - cg0080_054 |
|
cg0080_054 | 2/4/1980 | Missa celebrada por vários padres da PUC-Rio em homenagem à Dom Oscar Romero (arcebispo de San Salvador assassinado), ao padre jesuíta Luis Espinal (assassinado na Bolívia) e ao sub-diácono Júlio César (agente de pastoral da Diocese de Valença/RJ, vítima de espancamento). |
| Acervo de negativos do fotógrafo Antônio Albuquerque (cont.1) - cg0080_063 |
|
cg0080_063 | 2/4/1980 | Missa celebrada por vários padres da PUC-Rio em homenagem à Dom Oscar Romero (arcebispo de San Salvador assassinado), ao padre jesuíta Luis Espinal (assassinado na Bolívia) e ao sub-diácono Júlio César (agente de pastoral da Diocese de Valença/RJ, vítima de espancamento). |
| Acervo de negativos do fotógrafo Antônio Albuquerque (cont.1) - cg0080_072 |
|
cg0080_072 | 1972 | Almoço de Natal de funcionários com as mesas montadas no salão principal da Biblioteca Central. |
| Acervo de negativos do fotógrafo Antônio Albuquerque (cont.1) - cg0080_085 |
|
cg0080_085 | 1980 | Palestra com os professores e a direção da PUC-Rio sobre crise financeira. |
Código:
cg0080
Autores/Criadores:
ALBUQUERQUE, Antônio
Descrição:
Parte do acervo de negativos do fotógrafo Antônio Albuquerque, funcionário da PUC-Rio desde 1966. Imagens que retratam parte da vida universitária da PUC-Rio entre as décadas de 1970 e 1990.
Identificador:
n.e.
Contribuidores:
Antônio Albuquerque
Editor/Publicador:
n.a.
Data da criação:
1966 a 2008
Data de obtenção do documento:
terça-feira, Julho 8, 2008
Relações do documento com outros:
Acervo pessoal de Antônio Albuquerque
Número de Páginas/Tamanho em KB:
n.a.
Fonte:
Acervo pessoal de Antônio Albuquerque
Direitos autorais:
ALBUQUERQUE, Antônio
Natureza do documento:
negativos
Local:
Rio de Janeiro
Exibir como coleção:
0
